防城港市自然资源局关于防城港政通商贸有限公司“防城港磷铁集装和物流中心”调整后总平面规划设计方案及建筑立面设计方案的批前公示
我要收藏
公共资源调用站点
文章分享
根据《中华人民共和国城乡规划法》的有关规定,现对防城港政通商贸有限公司“防城港磷铁集装和物流中心”调整后总平面规划设计方案及建筑立面设计方案予以批前公示。
一、项目地址:防城港市港口区东部吹镇区。
二、项目概况
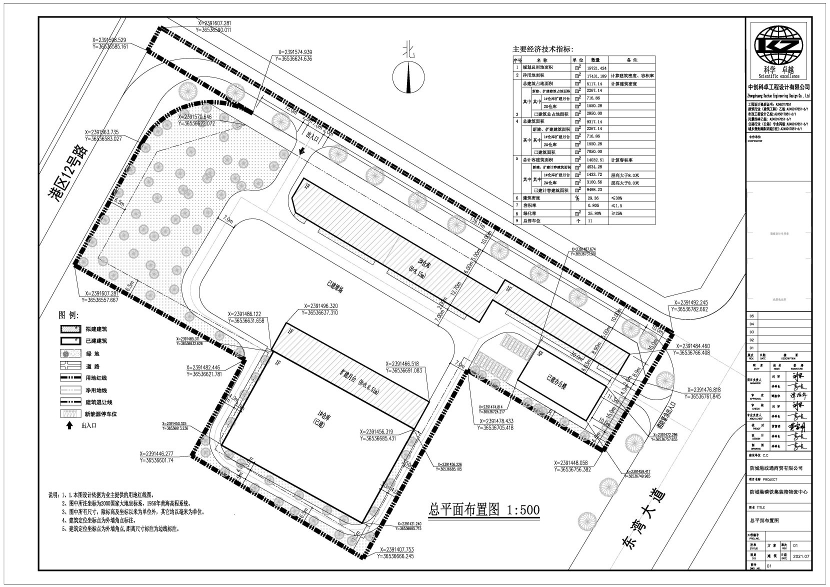
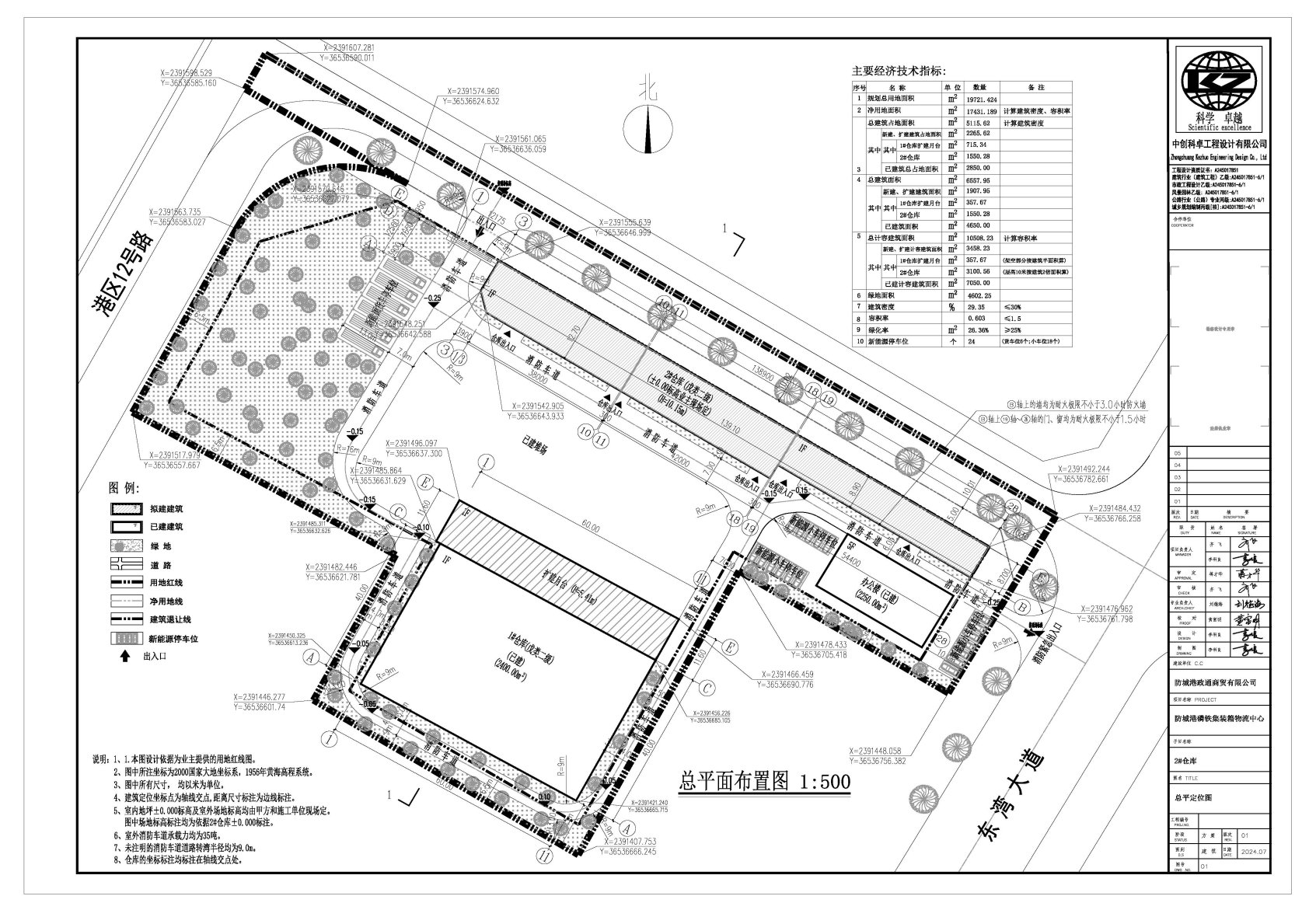
(一) 批准规划设计条件(地字第450600202000358):地块总用地面积19721.424㎡,净用地面积17431.189㎡,用地性质为仓储用地,建设规模:≤26146.792㎡,容积率:≤1.5,建筑密度:≤30% ,绿地率:≥25%,建筑限高 :≤24m,配备车位:按规范设置。
(二)建设内容:地块总用地面积为19721.424㎡,净用地面积为17431.189㎡,总建筑面积为6557.95㎡,总计容建筑面积10508.23㎡,容积率为0.603,建筑密度为29.35%,绿化率:26.36%,新能源停车位:24个。
(三)调整内容:2号仓库部分向东北方向推移6m,扩建月台高度降低,增加6个新能源货车停车位。
(四)建设方案:建筑立面设计方案一。
三、公告地点
(一)《防城港日报》《南国早报》《广西日报》等任何一家覆盖防城港新闻的综合类报纸媒体。
(二)防城港市自然资源局网站: http://fcg.dnr.gxzf.gov.cn。
(三)项目所在地现场:防城港市港口区东部吹镇区。
项目审批涉及到的相关利害关系人如有意见,请将书面意见(署真实姓名、身份证号码、联系地址和通讯方式)于公示期(公示期为7日,具体公示时间以登报公示之日起开始计算,项目业主在拿到此函后须尽快进行现场及登报公示)内送达防城港市自然资源局建设工程规划科(联系电话:0770-2820082,防城港市港口区云南路30号天马大厦防城港市自然资源局,邮编:538001)。
四、本案图示

区位图

调整前总平面图

调整后总平面图

调整后鸟瞰图

调整后沿街透视图

调整后仓库透视图
防城港市自然资源局
2024年11月4日
文件下载:
关联文件:

当前位置:
桂公网安备 45060202000004号